Zur Karte
Zum Artikel
Zurück
Vor
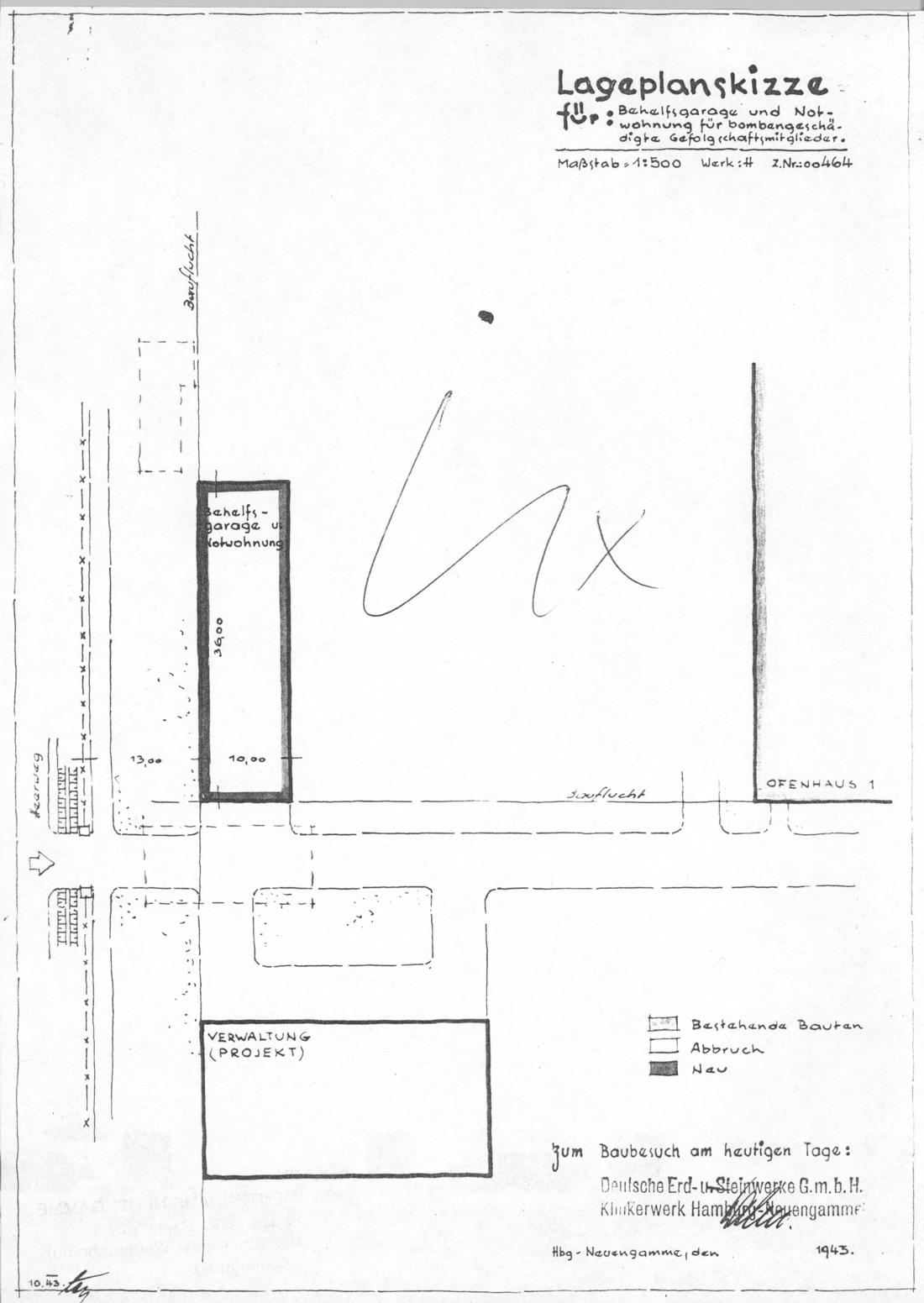
Lageplanskizze der Notwohnungen und der Behelfsgaragen am Standort des ursprünglich geplanten Verwaltungsgebäudes der Deutschen Erd- und Steinwerke GmbH (DESt). Plan: unbekannt, 1943 (ANg)